Przejdź do treści strony Przejdź do menu Przejdź wyszukiwarki Przejdź do mapy biuletynu
Kontrast:
Rozmiar czcionki:
Odstępy:
Reset:
Lektor:

Rozwój infrastruktury terenu inwestycyjnego przy ul. Przemysłowej w Prudniku

PDF1. Ogłoszenie o zamówieniu.pdf (4,68MB)
DOC2. SIWZ.doc (2,03MB)

3. Przedmiar robót

PDFPrzedmiar robót.pdf (1,86MB)
ATHPRZEDMIAR - INSTALACJE SANITARNE - ETAP 2.ath (11,72KB)

4. Projekt budowlano-wykonawczy: Budowa kanalizacji sanitarnej i wodociągu

PDF1 Metryka Projektu Budowlanego.pdf (941,00KB)
PDF2. Spis teści do specyfikacji technicznej.pdf (44,23KB)
PDF3 Oświadczenie projektanta.pdf (433,06KB)
JPEG4 Warunki ZWiK-1.jpeg (97,74KB)

JPEG5 Warunki ZWiK-2.jpeg (80,52KB)
JPEG6 Warunki ZWiK-3.jpeg (171,90KB)
JPEG7 Warunki ZWiK-4.jpeg (161,16KB)
JPEG8 Uzgodnienie ZWIK.jpeg (82,30KB)
PDF9 Warunki zwik 2013 - 1.pdf (713,14KB)
PDF10 Warunki zwik 2013 -2.pdf (624,74KB)
PDF11 Uzgodnienie zwik 2013.pdf (734,55KB)
JPEG12 ZUD-1.jpeg (162,80KB)
JPEG13 ZUD-2.jpeg (268,53KB)
JPEG14 ZUD-3.jpeg (345,18KB)
PDF15 Informacja BIOZ.pdf (98,62KB)
PDF16 Opis do projektu zagospodarowania.pdf (66,66KB)
PDF17 Opis techniczny - sanitarka.pdf (94,88KB)
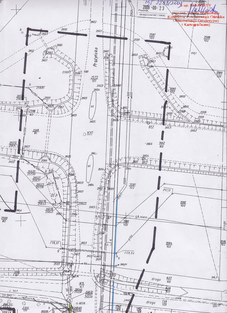
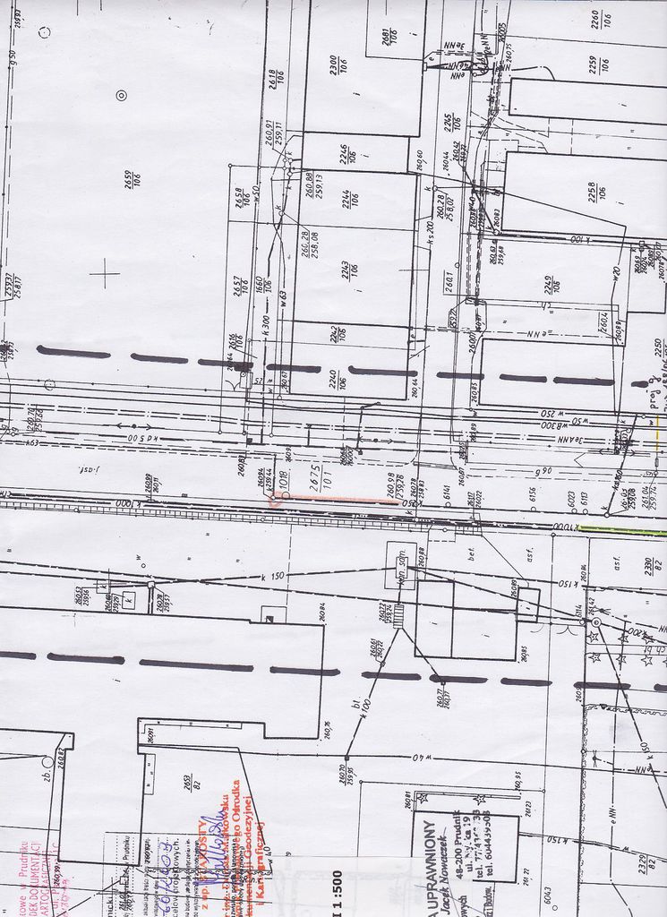
PDF18 Zagospodarowanie terenu 1.pdf (1 007,26KB)
PDF19 Zagospodarowanie terenu 2.pdf (910,34KB)
PDF20 Zagospodarowanie terenu 3.pdf (1,05MB)
PDF21 Schemat studni.pdf (225,53KB)

PDF5. PROJEKT BUDOWLANY PRZYŁĄCZY.pdf (14,14MB)
 

6. Specyfikacje techniczne

PDF1. Specyfikacja techniczna - strona tytułowa.pdf (683,25KB)
PDF2. Spis teści do specyfikacji technicznej.pdf (44,23KB)
PDF3. Specyfikacja techniczna hydrantów.pdf (2,02MB)
PDF4. Specyfikacje techniczne.pdf (388,85KB)

 

PDF7. Ogłoszenie o zmianie ogłoszenia.pdf (294,98KB)
PDF8. Odpowiedzi na pytania.pdf (384,84KB)

PDF9. Informacja z otwarcia ofert.pdf (340,73KB)

PDF10. Zawiadomienie o wyborze najkorzystniejszej oferty.pdf (311,12KB)

PDF11. Ogłoszenie o udzieleniu zamówienia.pdf (1,30MB)